Reduviids
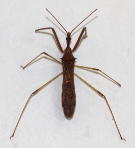
Reduviids (Hemiptera: Reduviidae) are abundant and highly successful predators, and they play a vital role in the biological control of insect pests of cashew. Reduviids are present on cashew trees, weed species and shrubs found in cashew plantations throughout the year. Around 18 species of reduviids have been recorded in cashew plantations of ICAR-DCR, Puttur.
The common species are Sycanus galbanus, Panthus bimaculatus, Irantha armiceps, Sphedanolestes signatus etc.
Most reduviid species are noticed during August to December. They feed on prey insects by pin and jab predation. Reports are available on predation of reduviids on tea mosquito bug. As they are general predators, they consume different types of insects including ants, caterpillars etc, hence needs to be conserved.

